土地 貸し地 埼玉県川口市新堀1 約295.97坪
基本情報
賃料/管理費 | 57.00 万円 / -- |
---|---|
保証金・敷金 | 2ヶ月 |
礼金 | 1ヶ月 |
建物階 | -- |
所在階 | -- |
住所 | 埼玉県 川口市 新堀 |
---|---|
最寄り駅 |
日暮里・舎人ライナー 見沼代親水公園駅(徒歩18分)
東武伊勢崎線 草加駅(徒歩0分)
JR京浜東北線 川口駅(徒歩0分)
|
最寄りインター | ■首都高速川口線『新郷』IC約1.4km ■東京外環自動車道『草加』IC約4.0km |
構造 | -- |
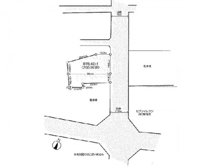
面積 | 295.97 坪 (978.42㎡) |
詳細物件情報
こだわり条件 |
|
---|---|
更新料 | 新賃料の1ヶ月分(別途消費税) |
償却 | 無し |
接道 | -- |
幅員 | 16m |
都市計画 | -- |
用途地域 | -- |
築年数 | -- |
現状 | 空 |
引渡日 | 7月中旬予定 |
取引様態 |
不動産会社様にはご紹介できない物件です。 媒介 |
物件詳細 | ☆設備:浄化槽・給水 ☆建物はできません。 ☆解約予告1ヶ月前 |
---|
この物件に問い合わせる

※お問い合わせの際は管理番号(00721563)をお伝えください。
所在地
他の物件も見てみる
同じ地域の他物件を探す
貸し倉庫 埼玉県川口市赤井 約50坪

貸倉庫
19.25
万円
50.00坪
貸し倉庫 埼玉県川口市赤井 約50坪
貸し倉庫 埼玉県川口市西川口6 34.11坪

貸倉庫
28.00
万円
34.11坪
貸し倉庫 埼玉県川口市西川口6 34.11坪
貸地 埼玉県川口市道合 約291.95坪

土地
48.00
万円
291.95坪
貸地 埼玉県川口市道合 約291.95坪
貸倉庫 埼玉県川口市元郷 約45.98坪

貸倉庫
40.00
万円
45.98坪
貸倉庫 埼玉県川口市元郷 約45.98坪
貸倉庫 埼玉県川口市東領家 約90.68坪

貸倉庫
69.30
万円
90.68坪
貸倉庫 埼玉県川口市東領家 約90.68坪
貸し倉庫 埼玉県川口市元郷2 196.02坪

貸倉庫
貸工場
110.00
万円
196.02坪
貸し倉庫 埼玉県川口市元郷2 196.02坪
工業地域・前面道路6m・大型トラック接車可能

貸倉庫
相談
201.76坪
工業地域・前面道路6m・大型トラック接車可能
貸工場 埼玉県川口市榛松 約55.06坪

貸工場
48.40
万円
55.06坪
貸工場 埼玉県川口市榛松 約55.06坪
貸工場 埼玉県川口市八幡木 約120.40坪

貸工場
79.53
万円
120.40坪
貸工場 埼玉県川口市八幡木 約120.40坪
貸倉庫 埼玉県川口市東領家 約72.37坪

貸倉庫
40.00
万円
72.37坪
貸倉庫 埼玉県川口市東領家 約72.37坪
おすすめ
貸し倉庫 埼玉県川口市赤井 約50坪

貸倉庫
19.25
万円
50.00坪
貸し倉庫 埼玉県川口市赤井 約50坪
貸し事務所・貸し店舗 東京都板橋区板橋1 河野ビル1階 24.35坪
貸店舗
貸事務所
37.00
万円
24.35坪
貸し事務所・貸し店舗 東京都板橋区板橋1 河野ビル1階 24.35坪
貸し倉庫 埼玉県三郷市大広戸 1672.70坪

貸倉庫
883.19
万円
1,672.70坪
貸し倉庫 埼玉県三郷市大広戸 1672.70坪
貸し倉庫 東京都江戸川区松江1 2617.44坪

貸倉庫
1,749.00
万円
2,617.44坪
貸し倉庫 東京都江戸川区松江1 2617.44坪
【寄託】貸し倉庫 神奈川県川崎市東扇島 1000坪

貸倉庫
605.00
万円
1,000.00坪
【寄託】貸し倉庫 神奈川県川崎市東扇島 1000坪