貸倉庫 【定期】貸し倉庫 神奈川県高座郡寒川町倉見 571坪
基本情報
| 賃料/管理費 | 314.05 万円 / 9,900円 |
|---|---|
| 保証金・敷金 | 4ヶ月 |
| 礼金 | 1ヶ月 |
| 建物階 | 平屋建て |
| 所在階 | 三棟 |
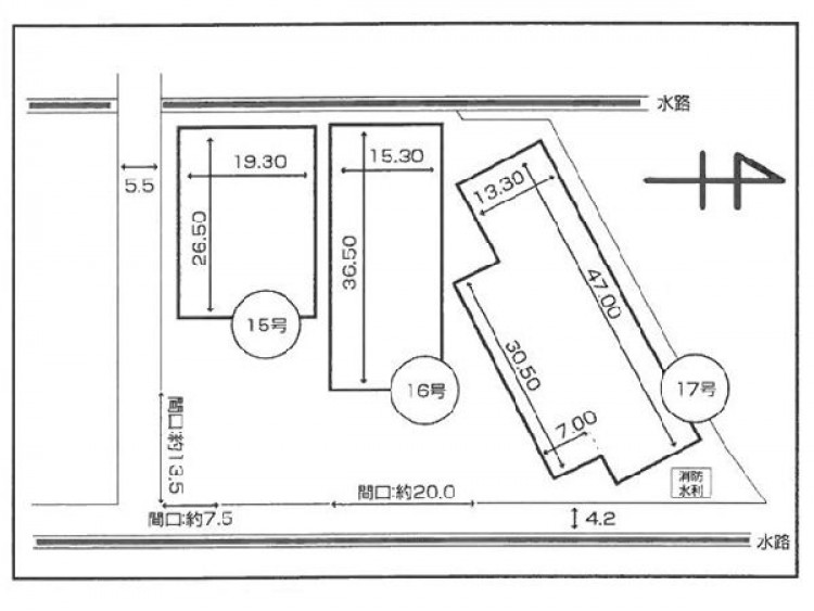
| 住所 | 神奈川県 高座郡寒川町 倉見 1417-1 15号・16号・17号 |
|---|---|
| 最寄り駅 |
JR相模線 倉見駅(徒歩14分)
|
| 最寄りインター | ■海老名IC4.8km |
| 構造 | 鉄骨造 |
| 面積 | 571.00 坪 (1887.61㎡) |
詳細物件情報
| こだわり条件 |
|
|---|---|
| 定期借家契約 | あり(詳細は物件詳細を参照) |
| 償却 | 解約時賃料の1ヶ月分(別途消費税) |
| 接道 | 二方 |
| 幅員 | 南5.5 東4.2m |
| 都市計画 | 市街化区域 |
| 用途地域 | 工業地域 |
| 築年数 | 1981年8月 |
| 現状 | 使用中 |
| 引渡日 | 2026年3月上旬 |
| 取引様態 | 媒介 |
| 物件詳細 | ■中途解約不可 ■前面道路:5.5m ■広々荷捌き場 ■希少 駅徒歩圏 ■海老名IC 4.8km ■使用面積詳細 15号:505.79㎡(153坪) 16号:552.07㎡(167坪) 17号:829.75㎡(251坪) 合計:1887.61㎡(571坪) |
|---|
この物件に問い合わせる
※お問い合わせの際は管理番号(00502026)をお伝えください。
所在地
他の物件も見てみる
おすすめ
【定借】貸し倉庫 埼玉県入間郡三芳町北永井 1087.88坪
貸倉庫
377.14
万円
1,087.88坪
【定借】貸し倉庫 埼玉県入間郡三芳町北永井 1087.88坪
貸し倉庫・貸し工場 埼玉県川越市大字石田659 52.35坪
貸倉庫
貸工場
27.50
万円
52.05坪
貸し倉庫・貸し工場 埼玉県川越市大字石田659 52.35坪
貸し店舗・貸し事務所・貸し倉庫・貸し作業所 久喜市久喜東5 256.51坪
貸倉庫
貸店舗
49.50
万円
256.52坪
貸し店舗・貸し事務所・貸し倉庫・貸し作業所 久喜市久喜東5 256.51坪
【定借】貸し倉庫 東京都大田区池上8 池上ビル2階 168坪
貸倉庫
240.24
万円
168.00坪
【定借】貸し倉庫 東京都大田区池上8 池上ビル2階 168坪
貸し倉庫 埼玉県三郷市新和3 400坪
貸倉庫
176.00
万円
400.00坪
貸し倉庫 埼玉県三郷市新和3 400坪
